こないだの日曜日から咽頭炎です。
今は声が全く出ません(T_T)
どうしても誰かに伝えたいことは筆談。
あー、面倒くちゃい!
しかし5日も無言の生活をしているけど、
ワタシ本人以外はいつもと変わらない日常です。
グレハリですら困ってないみたい…((((;゚Д゚)))))))
どこか見えない所にいるグレハリを呼ぶときは柏手2回。
すぐそばにいる時は舌をタンタンって2回。
そうすると尻尾振って来てくれる。
あとはアイコンタクトとジェスチャーだけで全部通じちゃう。
さすがグレハリも年の功だねぇ(笑)
ところで喋れなくて一番困るのはね、
お散歩中に人から話しかけられた時なんです。
いつもみんなが声掛けてくれると
必ずトークで笑いをとるようにしてるんだけど
こんなんじゃ気持ち悪い愛想笑いしかできない!
はぁ、つまんな~い(T_T)

ワタシが喋れないとむしろ静かでいい?
周りから絶対そう思われてるグレママにポチっとな♪

にほんブログ村

にほんブログ村

にほんブログ村
今は声が全く出ません(T_T)
どうしても誰かに伝えたいことは筆談。
あー、面倒くちゃい!
しかし5日も無言の生活をしているけど、
ワタシ本人以外はいつもと変わらない日常です。
グレハリですら困ってないみたい…((((;゚Д゚)))))))
どこか見えない所にいるグレハリを呼ぶときは柏手2回。
すぐそばにいる時は舌をタンタンって2回。
そうすると尻尾振って来てくれる。
あとはアイコンタクトとジェスチャーだけで全部通じちゃう。
さすがグレハリも年の功だねぇ(笑)
ところで喋れなくて一番困るのはね、
お散歩中に人から話しかけられた時なんです。
いつもみんなが声掛けてくれると
必ずトークで笑いをとるようにしてるんだけど
こんなんじゃ気持ち悪い愛想笑いしかできない!
はぁ、つまんな~い(T_T)

ワタシが喋れないとむしろ静かでいい?
周りから絶対そう思われてるグレママにポチっとな♪

にほんブログ村

にほんブログ村

にほんブログ村
グレハリはいつも山で遊んでいます。
本人たちは楽しくてしょうがないと思うんだけど、
その反面リスクもあるんだよね~(^^;;
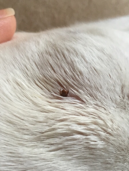
あ、これこれ(ー ー;)

ダニだね~。ダニはダメだに~。
笑えないジョークです((((;゚Д゚)))))))

グレハリはフィラリアとダニと両方に効く薬を服用しています。
ダニはついてもポロっと落ちるそうですが、
ニャー様が3匹もいるグレ家ではそれでも困ります。
それが生きてて今度はニャー様についたら大変!!
ってことで一度見つけたダニは逃しません!
いつもはハーブのオイルで弱らせますが、
このダニはしぶとかったのでお酢作戦に変更です。
お酢をたっぷり染み込ませたティッシュで数分パックしました。
たまたま黒酢しかなかったから茶色いです(^^;;
パックした後ピンセットでゆっくり摘んだら
ちゃんと歯ごと抜けました(^ ^)

こういう時は焦って力任せに引き抜くと
歯が食い込んだまま残る場合もあります。
ダニを見つけても焦らずまずは作戦を考えなくちゃね!
無事ダニは退治できたので、
噛まれた部分と黒酢で茶色くなった毛をセイバーZでジャバジャバ洗いました。
これで悪い菌もお酢臭さにもサヨナラさ(^ ^)

セイバーZは次亜塩素酸ナトリウムです。
食品添加物を使用しているので安心です。
これはペット用になってるけど中身は病院で使われている物と同じなの。
だからグレ家ではチビ人間のアトピー消毒にも使っていますよ。
これを使うようになったら独特のアトピー臭もなくなりました。
年頃の乙女にもとても重宝しているんです。
余談ですが水虫にも効果ありましたよ。
もちろんワタシは水虫ではありませんけど(笑)
買うならここでね(^ ^)
グレ姉の甥っ子シエルのお家で買えます。
『ノアール・エ・ブラン』
↓↓↓
http://noiretblanc0503.shop-pro.jp
話がだいぶ反れました(^ ^)
ダニのお酢作戦は確かに効き目はあるようですが、
所詮民間療法みたいなもんです。
なかなか取れない場合はやはり病院へ行くのが1番ですね。

ダニにも負けない山犬グレハリにポチっとな♪

にほんブログ村

にほんブログ村

にほんブログ村
本人たちは楽しくてしょうがないと思うんだけど、
その反面リスクもあるんだよね~(^^;;
あ、これこれ(ー ー;)

ダニだね~。ダニはダメだに~。
笑えないジョークです((((;゚Д゚)))))))

グレハリはフィラリアとダニと両方に効く薬を服用しています。
ダニはついてもポロっと落ちるそうですが、
ニャー様が3匹もいるグレ家ではそれでも困ります。
それが生きてて今度はニャー様についたら大変!!
ってことで一度見つけたダニは逃しません!
いつもはハーブのオイルで弱らせますが、
このダニはしぶとかったのでお酢作戦に変更です。
お酢をたっぷり染み込ませたティッシュで数分パックしました。
たまたま黒酢しかなかったから茶色いです(^^;;
パックした後ピンセットでゆっくり摘んだら
ちゃんと歯ごと抜けました(^ ^)

こういう時は焦って力任せに引き抜くと
歯が食い込んだまま残る場合もあります。
ダニを見つけても焦らずまずは作戦を考えなくちゃね!
無事ダニは退治できたので、
噛まれた部分と黒酢で茶色くなった毛をセイバーZでジャバジャバ洗いました。
これで悪い菌もお酢臭さにもサヨナラさ(^ ^)

セイバーZは次亜塩素酸ナトリウムです。
食品添加物を使用しているので安心です。
これはペット用になってるけど中身は病院で使われている物と同じなの。
だからグレ家ではチビ人間のアトピー消毒にも使っていますよ。
これを使うようになったら独特のアトピー臭もなくなりました。
年頃の乙女にもとても重宝しているんです。
余談ですが水虫にも効果ありましたよ。
もちろんワタシは水虫ではありませんけど(笑)
買うならここでね(^ ^)
グレ姉の甥っ子シエルのお家で買えます。
『ノアール・エ・ブラン』
↓↓↓
http://noiretblanc0503.shop-pro.jp
話がだいぶ反れました(^ ^)
ダニのお酢作戦は確かに効き目はあるようですが、
所詮民間療法みたいなもんです。
なかなか取れない場合はやはり病院へ行くのが1番ですね。

ダニにも負けない山犬グレハリにポチっとな♪

にほんブログ村

にほんブログ村

にほんブログ村
ふと思いました。
猫と暮らすと日頃のイライラが減ったり
家族に対して怒ることも減ったりしません?
ワタシはアンディが一人っ子の時より
ルイとロビンが加わった今の方が脱力系な人間になりました。
犬とはルールに基づいた生活ができます。
やって良いこと悪いことを教えることによって
家庭内でもさほど困ったことはないはずです。
それにくらべて猫はねぇ。
あまりにもくだらない事件ばかりを起こすので
日々お腹を抱えて笑うばかりです。
猫って頭が良いから人間を上手に操りますよね(^ ^)
そんな猫を3匹も抱えてると世の中を見る目も変わりますよ。
小さいことでイライラするのは無駄に思えるし、
例えイライラしても猫といるとすぐに忘れちゃうのです。
は~、猫ってステキ(笑)
最近のニャー様たち↓
立て掛けてあった新体操のフープが倒れただけで
いつの間にか猫転送装置に早変わりした例(ー ー;)

もはやゴキブリホイホイならぬ猫ホイホイ。

プリンターの電源が何度も落ちるから故障かと思ったら
点滅ボタンを押してひたすらオフにしていたらしい。
猫はどこに潜んでるか分からない例。

毛玉ですらおもちゃにするリサイクル活動の天才。
おかげで掃除がはかどらない例。

ジャンケンに参加しないくせに自分が食べたいモノを見つけると
ひたすら自己主張して周りを困らせる例。

犬と違って定位置で寝ないのでその辺に転がって通行人の邪魔になる例。

毎日笑かしてくれてありがとう。
おかげで母はもうすぐ悟りを開けそうだよ(笑)

最近ルイとロビンのキャラが一段と確立してきました。
ルイは甘々男子でいつもスリスリストーカー。
ロビンはロビンは…、かなりのおバカ男子です(^^;;
いや、これは良いことなのです。
男子は犬も猫もおバカでなくてはなりません♪
ロビンの笑いは世界を救うとさえ思えます。
ああ、愛すべきワタシのニャー様たち♡
猫のおかげですっかりフニャフニャ人間のグレママにポチっとな♪

にほんブログ村

にほんブログ村

にほんブログ村
猫と暮らすと日頃のイライラが減ったり
家族に対して怒ることも減ったりしません?
ワタシはアンディが一人っ子の時より
ルイとロビンが加わった今の方が脱力系な人間になりました。
犬とはルールに基づいた生活ができます。
やって良いこと悪いことを教えることによって
家庭内でもさほど困ったことはないはずです。
それにくらべて猫はねぇ。
あまりにもくだらない事件ばかりを起こすので
日々お腹を抱えて笑うばかりです。
猫って頭が良いから人間を上手に操りますよね(^ ^)
そんな猫を3匹も抱えてると世の中を見る目も変わりますよ。
小さいことでイライラするのは無駄に思えるし、
例えイライラしても猫といるとすぐに忘れちゃうのです。
は~、猫ってステキ(笑)
最近のニャー様たち↓
立て掛けてあった新体操のフープが倒れただけで
いつの間にか猫転送装置に早変わりした例(ー ー;)

もはやゴキブリホイホイならぬ猫ホイホイ。

プリンターの電源が何度も落ちるから故障かと思ったら
点滅ボタンを押してひたすらオフにしていたらしい。
猫はどこに潜んでるか分からない例。

毛玉ですらおもちゃにするリサイクル活動の天才。
おかげで掃除がはかどらない例。

ジャンケンに参加しないくせに自分が食べたいモノを見つけると
ひたすら自己主張して周りを困らせる例。

犬と違って定位置で寝ないのでその辺に転がって通行人の邪魔になる例。

毎日笑かしてくれてありがとう。
おかげで母はもうすぐ悟りを開けそうだよ(笑)

最近ルイとロビンのキャラが一段と確立してきました。
ルイは甘々男子でいつもスリスリストーカー。
ロビンはロビンは…、かなりのおバカ男子です(^^;;
いや、これは良いことなのです。
男子は犬も猫もおバカでなくてはなりません♪
ロビンの笑いは世界を救うとさえ思えます。
ああ、愛すべきワタシのニャー様たち♡
猫のおかげですっかりフニャフニャ人間のグレママにポチっとな♪

にほんブログ村

にほんブログ村

にほんブログ村









